Liegenschaftskataster

Die Flurkarte (umgangssprachlich auch "Katasterkarte" genannt).

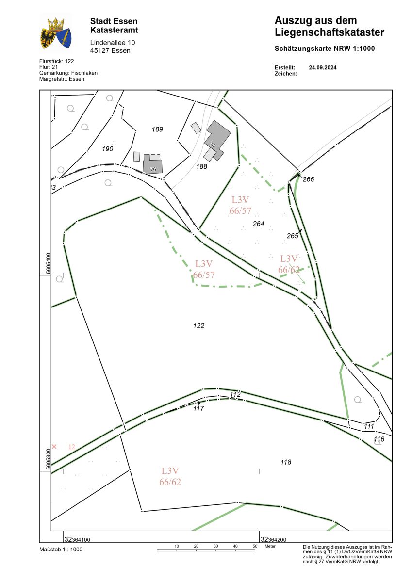
Darstellung der Bodenschätzungsergebnisse landwirtschaftlicher Kulturflächen.

Topografische Darstellung für Gebäude, Wege und Gewässer im Maßstab 1:5.000.

Präzise Informationen zu Flurstücken – ohne Angaben zu Eigentümern.

Dieses Produkt kann nur nach vorhergehender Anmeldung mit der Bund ID, Vertrauensstufe "hoch" erworben werden.

Dieses Produkt kann nur nach vorhergehender Anmeldung mit der Bund ID, Vertrauensstufe "hoch" erworben werden.

Dieses Produkt kann nur nach vorhergehender Anmeldung mit der Bund ID, Vertrauensstufe "hoch" erworben werden.